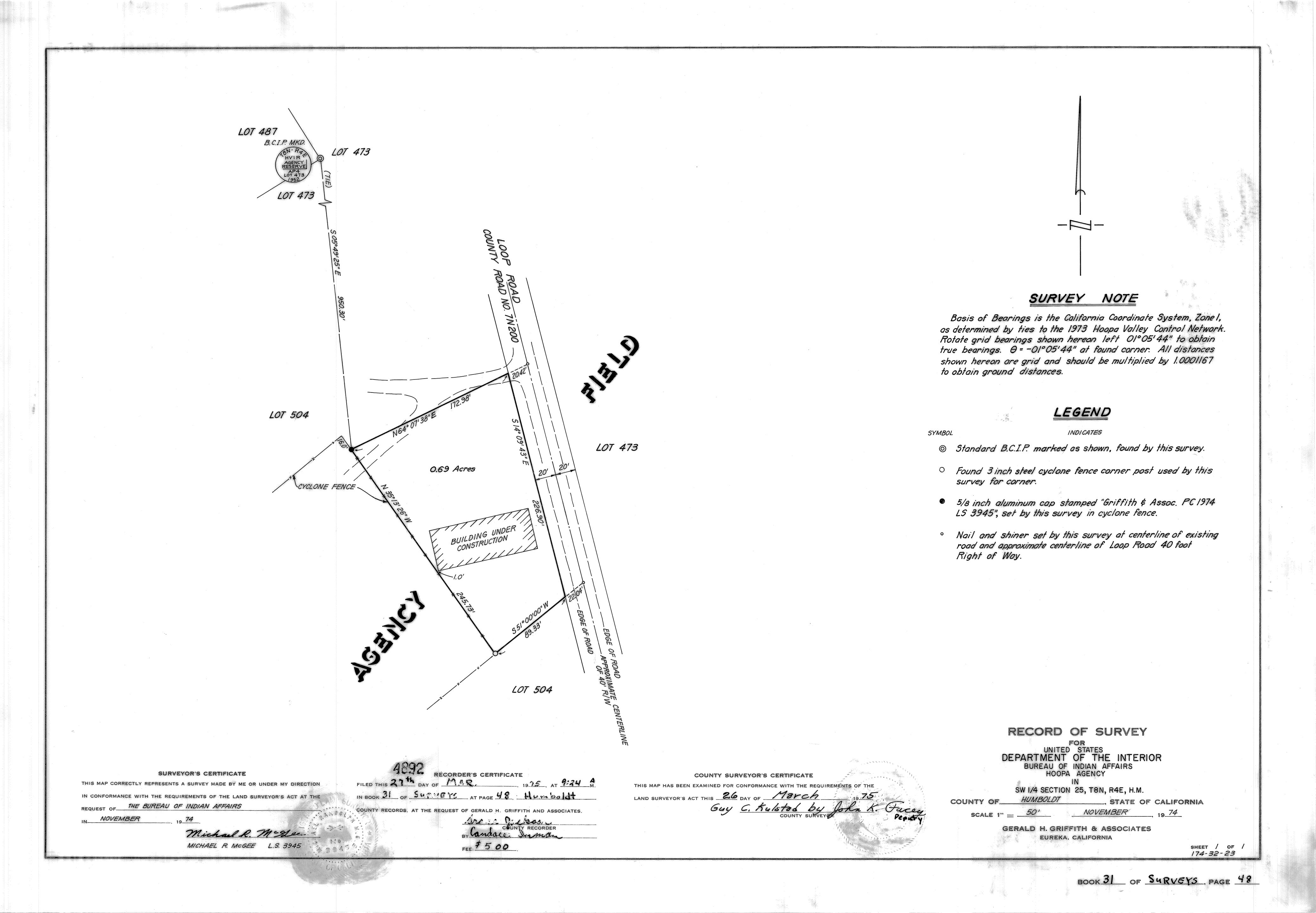
Book 31 Page 48 of Map Type RS